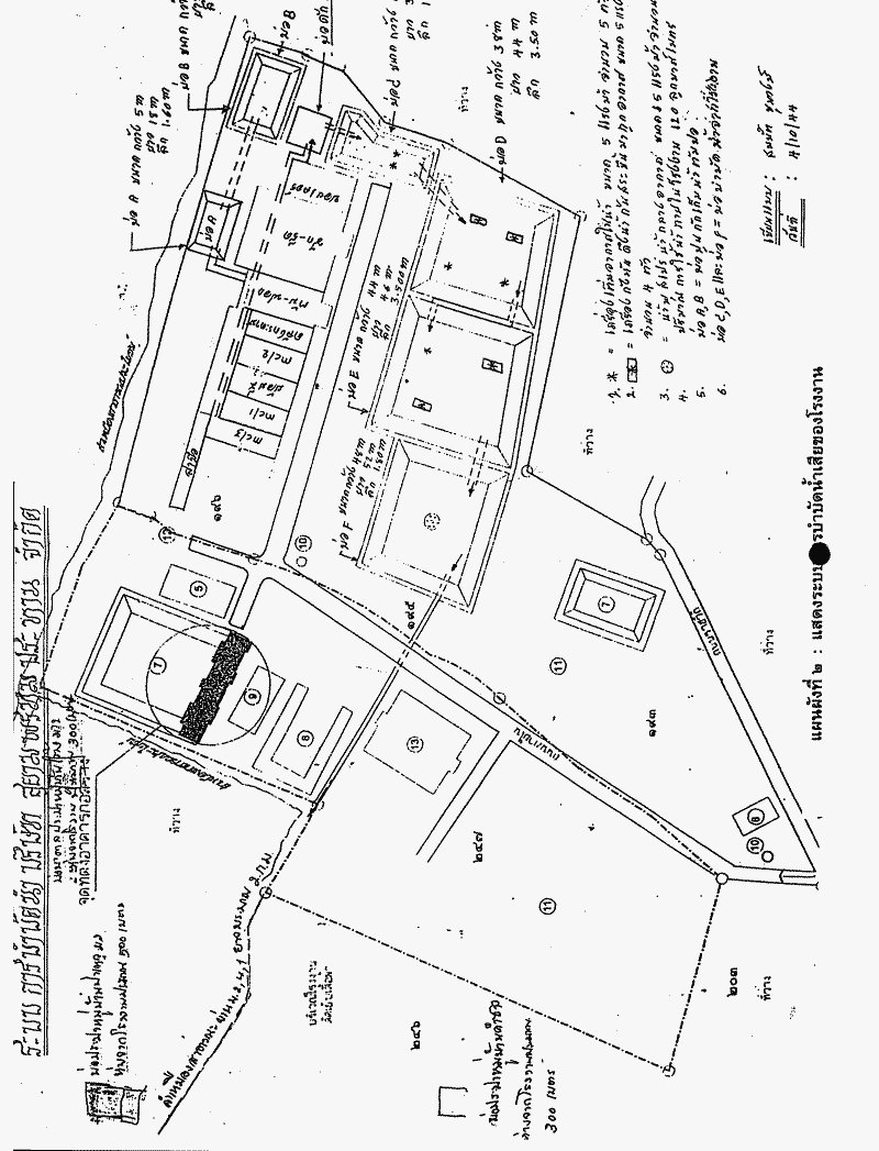
ชื่อเอกสาร :   รายงานผลการพิจารณาศึกษาปัญหาความเดือดร้อนของราษฎรอำเภอสันกำแพง จังหวัดเชียงใหม่ จากการปล่อยน้ำเสียของโรงงานบริษัท สยามพรหมประทาน จำกัด ซึ่งคณะกรรมาธิการการทรัพยากรธรรมชาติและสิ่งแวดล้อมพิจารณาเสร็จแล้ว

 
  • หมวดหมู่
  • ระเบียบวาระการประชุมสภาผู้แทนราษฎร > ชุดที่ 21 > ปีที่ 2 > สมัยสามัญทั่วไป > ครั้งที่ 20 > (4) เรื่องที่คณะกรรมาธิการพิจารณาเสร็จแล้ว
  • ชื่อเอกสาร :
  • รายงานผลการพิจารณาศึกษาปัญหาความเดือดร้อนของราษฎรอำเภอสันกำแพง จังหวัดเชียงใหม่ จากการปล่อยน้ำเสียของโรงงานบริษัท สยามพรหมประทาน จำกัด ซึ่งคณะกรรมาธิการการทรัพยากรธรรมชาติและสิ่งแวดล้อมพิจารณาเสร็จแล้ว
  • เรื่อง :
  • รายงานผลการพิจารณาศึกษาของคณะกรรมาธิการการทรัพยากรธรรมชาติ
     
    รายการเอกสาร จำนวน  88 หน้า
       หน้าที่แล้ว |  21 |  22 |  23 |  24 |  25 |  26 |  27 |  28 |  29 |  30 |  หน้าถัดไป | 
    หน้า 
    1
    2
    3
    4
    5
    6
    7
    8
    9
    10
    11
    12
    13
    14
    15
    16
    17
    18
    19
    20
    21
    22
    23
    24
    25
    26
    27
    28
    29
    30
    31
    32
    33
    34
    35
    36
    37
    38
    39
    40
    41
    42
    43
    44
    45
    46
    47
    48
    49
    50
    51
    52
    53
    54
    55
    56
    57
    58
    59
    60
    61
    62
    63
    64
    65
    66
    67
    68
    69
    70
    71
    72
    73
    74
    75
    76
    77
    78
    79
    80
    81
    82
    83
    84
    85
    86
    87
    88
      ดาวน์โหลดเอกสาร  p0032.gif
       หน้าที่แล้ว |  21 |  22 |  23 |  24 |  25 |  26 |  27 |  28 |  29 |  30 |  หน้าถัดไป |