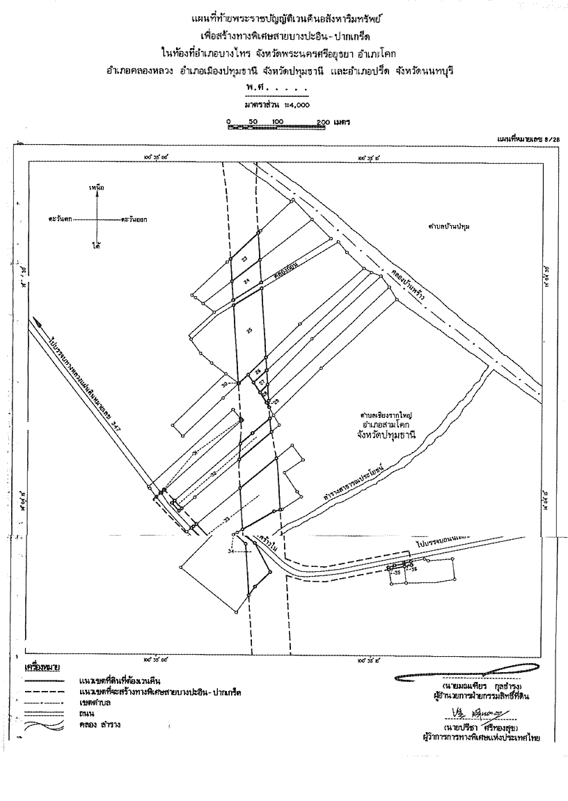
ชื่อเอกสาร :   ร่างพระราชบัญญัติเวนคืนอสังหาริมทรัพย์ เพื่อสร้างทางพิเศษสายบางปะอิน-ปากเกร็ด ในท้องที่อำเภอบางไทร จังหวัดพระนครศรีอยุธยา อำเภอสามโคก อำเภอคลองหลวงอำเภอเมืองปทุมธานี จังหวัดปทุมธานี และอำเภอปากเกร็ด จังหวัดนนทบุรี พ.ศ. .... (คณะรัฐมนตรี เป็นผู้เสนอ)

 
  • หมวดหมู่
  • ระเบียบวาระการประชุมสภาผู้แทนราษฎร > ชุดที่ 21 > ปีที่ 2 > สมัยสามัญทั่วไป > ครั้งที่ 1 > เรื่องด่วน
  • ชื่อเอกสาร :
  • ร่างพระราชบัญญัติเวนคืนอสังหาริมทรัพย์ เพื่อสร้างทางพิเศษสายบางปะอิน-ปากเกร็ด ในท้องที่อำเภอบางไทร จังหวัดพระนครศรีอยุธยา อำเภอสามโคก อำเภอคลองหลวงอำเภอเมืองปทุมธานี จังหวัดปทุมธานี และอำเภอปากเกร็ด จังหวัดนนทบุรี พ.ศ. .... (คณะรัฐมนตรี เป็นผู้เสนอ)
  • เรื่อง :
  • ร่างพระราชบัญญัติเวนคืนอสังหาริมทรัพย์ เพื่อสร้างทางพิเศษสายบางปะอิน-ปากเกร็ด ในท้องที่อำเภอบางไทร จังหวัดพระนครศรีอยุธยา อำเภอสามโคก อำเภอคลองหลวงอำเภอเมืองปทุมธานี จังหวัดปทุมธานี และอำเภอปากเกร็ด จังหวัดนนทบุรี พ.ศ. ....
     
    รายการเอกสาร จำนวน  58 หน้า
       หน้าที่แล้ว |  31 |  32 |  33 |  34 |  35 |  36 |  37 |  38 |  39 |  40 |  หน้าถัดไป | 
    หน้า 
    1
    2
    3
    4
    5
    6
    7
    8
    9
    10
    11
    12
    13
    14
    15
    16
    17
    18
    19
    20
    21
    22
    23
    24
    25
    26
    27
    28
    29
    30
    31
    32
    33
    34
    35
    36
    37
    38
    39
    40
    41
    42
    43
    44
    45
    46
    47
    48
    49
    50
    51
    52
    53
    54
    55
    56
    57
    58
      ดาวน์โหลดเอกสาร  08.gif
       หน้าที่แล้ว |  31 |  32 |  33 |  34 |  35 |  36 |  37 |  38 |  39 |  40 |  หน้าถัดไป |