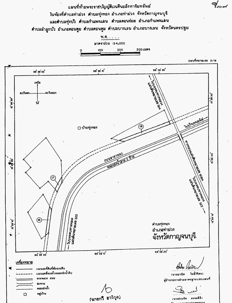
ชื่อเอกสาร :   ๓. ร่างพระราชบัญญัติเวนคืนอสังหาริมทรัพย์ ในท้องที่ตำบลท่าม่วง ตำบลทุ่งทอง อำเเภอท่าม่วงจังหวัดกาญจนบุรี และตำบลทุ่งบัว ตำบลกำแพงแสน ตำบลดอนข่อย อำเภอกำแพงแสนตำบลลำลูกบัว อำเภอดอนตูม ตำบลดอนตูม ตำบลบางเลน อำฌอบางเลน จังหวัดนครปฐม พ.ศ. .... (คณะรัฐมนตรี เป็นผู้เสนอ)

 
  • หมวดหมู่
  • ระเบียบวาระการประชุมสภาผู้แทนราษฎร > ชุดที่ 21 > ปีที่ 1 > สมัยสามัญทั่วไป > ครั้งที่ 15 > เรื่องด่วน
  • ชื่อเอกสาร :
  • ๓. ร่างพระราชบัญญัติเวนคืนอสังหาริมทรัพย์ ในท้องที่ตำบลท่าม่วง ตำบลทุ่งทอง อำเเภอท่าม่วงจังหวัดกาญจนบุรี และตำบลทุ่งบัว ตำบลกำแพงแสน ตำบลดอนข่อย อำเภอกำแพงแสนตำบลลำลูกบัว อำเภอดอนตูม ตำบลดอนตูม ตำบลบางเลน อำฌอบางเลน จังหวัดนครปฐม พ.ศ. .... (คณะรัฐมนตรี เป็นผู้เสนอ)
  • เรื่อง :
  • ร่างพระราชบัญญัติเวนคืนอสังหาริมทรัพย์ ในท้องที่ตำบลท่าม่วง ตำบลทุ่งทอง อำเเภอท่าม่วงจังหวัดกาญจนบุรี และตำบลทุ่งบัว ตำบลกำแพงแสน ตำบลดอนข่อย อำเภอกำแพงแสนตำบลลำลูกบัว อำเภอดอนตูม ตำบลดอนตูม ตำบลบางเลน อำฌอบางเลน จังหวัดนครปฐม พ.ศ. ....
     
    รายการเอกสาร จำนวน  29 หน้า
       1 |  2 |  3 |  4 |  5 |  6 |  7 |  8 |  9 |  10 |  หน้าถัดไป | 
    หน้า 
    1
    2
    3
    4
    5
    6
    7
    8
    9
    10
    11
    12
    13
    14
    15
    16
    17
    18
    19
    20
    21
    22
    23
    24
    25
    26
    27
    28
    29
      ดาวน์โหลดเอกสาร  p0013.gif
       1 |  2 |  3 |  4 |  5 |  6 |  7 |  8 |  9 |  10 |  หน้าถัดไป |