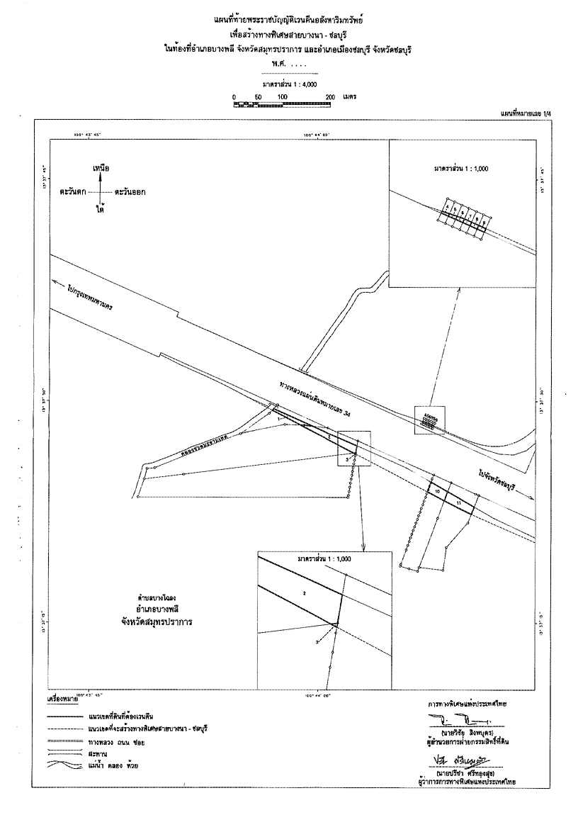
ชื่อเอกสาร :   ร่างพระราชบัญญัติเวนคืนอสังหาริมทรัพย์ เพื่อสร้างทางพิเศษสายบางนา-ชลบุรี ในท้องที่อำเภอบางพลี จังหวัดสมุทรปราการ และอำเภอเมืองชลบุรี จังหวัดชลบุรี พ.ศ. .... (คณะรัฐมนตรี เป็นผู้เสนอ)

 
  • หมวดหมู่
  • ระเบียบวาระการประชุมสภาผู้แทนราษฎร > ชุดที่ 21 > ปีที่ 2 > สมัยสามัญนิติบัญญัติ > ครั้งที่ 12 > เรื่องด่วน
  • ชื่อเอกสาร :
  • ร่างพระราชบัญญัติเวนคืนอสังหาริมทรัพย์ เพื่อสร้างทางพิเศษสายบางนา-ชลบุรี ในท้องที่อำเภอบางพลี จังหวัดสมุทรปราการ และอำเภอเมืองชลบุรี จังหวัดชลบุรี พ.ศ. .... (คณะรัฐมนตรี เป็นผู้เสนอ)
  • เรื่อง :
  • ร่างพระราชบัญญัติเวนคืนอสังหาริมทรัพย์ เพื่อสร้างทางพิเศษสายบางนา-ชลบุรี ในท้องที่อำเภอบางพลี จังหวัดสมุทรปราการ และอำเภอเมืองชลบุรี จังหวัดชลบุรี พ.ศ. ....
     
    รายการเอกสาร จำนวน  9 หน้า
       1 |  2 |  3 |  4 |  5 |  6 |  7 |  8 |  9 | 
    หน้า 
    1
    2
    3
    4
    5
    6
    7
    8
    9
      ดาวน์โหลดเอกสาร  01.gif
       1 |  2 |  3 |  4 |  5 |  6 |  7 |  8 |  9 |